Residential
More from realestate.co.nz:
Agents News

12 Lot 30/stage 7/23 Murphys Park Drive, Flat Bush, Manukau City

Seize this rare opportunity for small-scale in...

dollar

Negotiation

Section
Section
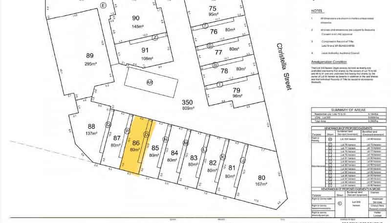
Land area
80m2
Title type
Freehold
On this page:

Property details

Listing # 859159 | Listed on 10 January 2024

Attention to all builders and visionaries aspiring to build their dream homes. Each section comes with a freehold title and a resource consent plan for 3 bedrooms, 3 bathrooms, and a garage.
Situated in a sought-after community, surrounded by prestigious schools such as Te Uho O Te Nikau Primary, Ormiston Junior, and Ormiston Senior, it stands as an ideal haven for families.
Nestled next to the picturesque Murphys Bush reserve, the property effortlessly combines nature with convenience. Benefit from easy access to State Highway 1, close proximity to Auckland Airport, and convenience to both Manukau and Ormiston malls.

Your notes
Add notes for your personal reference. This can only be seen by you.
$
$
% p.a.
years
$0 per week
Contact the agent
Name  (required)
Email  (required)
Phone
I'd like to enquire about:
Your message
A young family with pets illustration